The Climate and its Devastation
![]() |
| Heavy fog forms in the capital city of Haikou, Hainan |
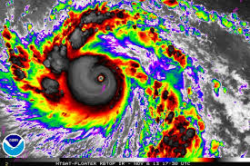
| Super Typhoon Haiyan in false color to show the intensity (Category 5) Nov. 2013 |
![]() |
| Even though Typhoon Haiyan (2013) didn't strike Hainan directly, Hainan was on the right side of the typhoon which has the strongest winds that caused damage killing six people. |
![]() |
| The path of Typhoon Kalmaegi shows that Hainan was hit, lying on the left weaker side of the typhoon. |
![]() |
| Hainan becomes flooded after Typhoon Kalmaegi |
Sources:
http://www.ecoca.ro/meteo/tutorial/climate/older/tropical_climate.html
http://en.wikipedia.org/wiki/Hainan#Climate
http://www.chinahighlights.com/hainan/weather.htm
http://en.wikipedia.org/wiki/Tropical_monsoon_climate
http://en.wikipedia.org/wiki/Humid_subtropical_climate
http://www.channelnewsasia.com/news/asiapacific/typhoon-hits-china-s/1364694.html
http://en.wikipedia.org/wiki/Typhoon_Kalmaegi_(2014)
http://www.wunderground.com/tropical/tracking/wp201415.html?
http://www.crh.noaa.gov/jkl/?n=fog_types




No comments:
Post a Comment